市自然资源和规划局谯城分局
当前位置: 网站首页 > 政府信息公开 > 市自然资源和规划局谯城分局 > 意见征集
索引号: 11341602003165150B/202512-00049 组配分类: 意见征集
发布机构: 市自然资源和规划局谯城分局 主题分类: 国土资源、能源
名称: 亳州市丰卓种植专业合作社项目规划设计方案公示 文号:
发文日期: 2025-12-26 发布日期: 2025-12-26
索引号: 11341602003165150B/202512-00049
组配分类: 意见征集
发布机构: 市自然资源和规划局谯城分局
主题分类: 国土资源、能源
名称: 亳州市丰卓种植专业合作社项目规划设计方案公示
文号:
发文日期: 2025-12-26
发布日期: 2025-12-26
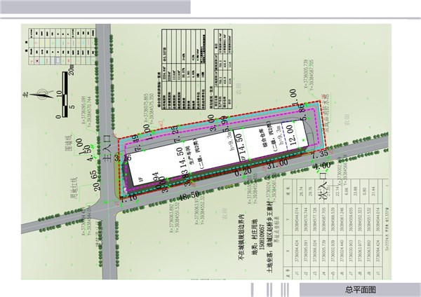
亳州市丰卓种植专业合作社项目规划设计方案公示
发布时间:2025-12-26 14:41 信息来源:市自然资源和规划局谯城分局 浏览次数: 字体:[ ]

公示日期:2025年12月26日-2026年01月01日

建设位置: 位于谯城区赵桥乡王寨村

建设单位:亳州市丰卓种植专业合作社

设计单位:浙江耀华规划建筑设计有限公司

用地规模:2224.8

用地性质:工业用地


方案简介:该方案规划总用地面积:2224.8,总建筑面积:1114,计容建筑面积:2228㎡,容积率:1.001,建筑密度:50.07%,绿地率:4.65%

  

 

公示时间不少于7天,如有意见,请书面反馈亳州市自然资源和规划局谯城分局。

联系电话:0558-5520672,0558-5520603

邮箱:3012322793@qq.com

 

2025年12月26日