市自然资源和规划局谯城分局
当前位置: 网站首页 > 政府信息公开 > 市自然资源和规划局谯城分局 > 意见征集
索引号: 11341602003165150B/202509-00098 组配分类: 意见征集
发布机构: 市自然资源和规划局谯城分局 主题分类: 国土资源、能源
名称: 年产10000吨精制中药饮片生产线建设项目规划建筑设计方案(扩建)公示 文号:
发文日期: 2025-09-28 发布日期: 2025-09-28
索引号: 11341602003165150B/202509-00098
组配分类: 意见征集
发布机构: 市自然资源和规划局谯城分局
主题分类: 国土资源、能源
名称: 年产10000吨精制中药饮片生产线建设项目规划建筑设计方案(扩建)公示
文号:
发文日期: 2025-09-28
发布日期: 2025-09-28
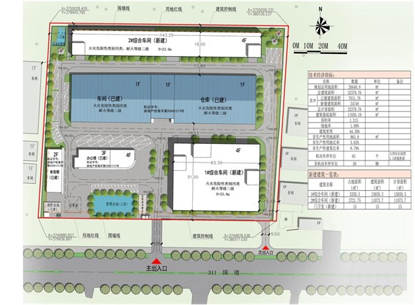
年产10000吨精制中药饮片生产线建设项目规划建筑设计方案(扩建)公示
发布时间:2025-09-28 16:49 信息来源:市自然资源和规划局谯城分局 浏览次数: 字体:[ ]

公示日期:2025年9月28日-2025年10月4日

建设位置:亳州市谯城区十八里镇311国道北侧,古井大道西侧

建设单位:安徽省本草国药饮片有限公司

设计单位:安徽省科泰建筑设计有限责任公司

用地规模:26648.9㎡(合39.973亩)

用地性质:工业用地

方案简介:规划总用地面积:26648.9总建筑面积:32379.76总计容建筑面积:32379.76㎡容积率:1.215建筑密度:44.36%绿地率:1.8%机动车停车位:65个,非机动车停车位:50



公示时间不少于7天,如有意见,请书面反馈亳州市自然资源和规划局谯城分局。

联系电话:0558-5520675,0558-5520603

邮箱:3012322793@qq.com

 

2025年9月28日